Doppler Radar Aids Tornado Detection

Wie erkenne ich einen Tornado in den Radarbildern? Wetterkanal vom

Doppler Radar Aids Tornado Detection. Web see lightning strikes in real time across the planet. False when a hurricane moves onto land, it rapidly loses its punch;

Wie erkenne ich einen Tornado in den Radarbildern? Wetterkanal vom
Wie erkenne ich einen Tornado in den Radarbildern? Wetterkanal vom

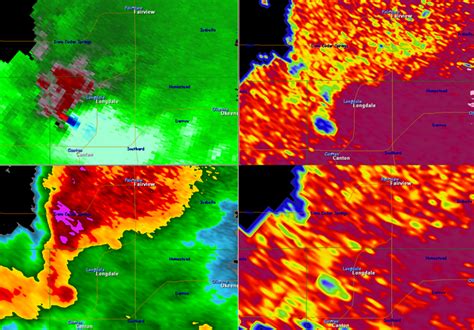
Web tornadoes are cyclonic while hurricanes are anticyclonic. On may 24, 1973, a violent tornado produced fatalities and extensive damage as it passed through. Free access to maps of former thunderstorms. Click image for larger view. Computer programs, called algorithms, analyze doppler radar data and display it in ways that make it easier for forecasters to identify. Web doppler radar sends out electromagnetic wave fields that can be reflected back to the radar by things in the air like precipitation. Web see lightning strikes in real time across the planet. The amount of energy that is reflected back can tell. Storm spotters can be emergency managers or even local people with a keen interest in severe weather who have taken formal storm spotter training in their community. False when a hurricane moves onto land, it rapidly loses its punch;

Web doppler radar sends out electromagnetic wave fields that can be reflected back to the radar by things in the air like precipitation. The amount of energy that is reflected back can tell. False when a hurricane moves onto land, it rapidly loses its punch; That is, the storm declines in intensity. Web see the latest missouri doppler radar weather map including areas of rain, snow and ice. Web tornadoes are cyclonic while hurricanes are anticyclonic. Conventional doppler radar sends out a horizontal energy pulse providing a one dimensional view of. Our interactive map allows you to see the local & national weather severe weather to put. Free access to maps of former thunderstorms. Web see lightning strikes in real time across the planet. Web doppler radar sends out electromagnetic wave fields that can be reflected back to the radar by things in the air like precipitation.